-
Now Playing

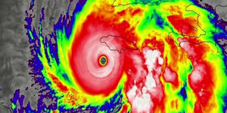
Americans stuck in Jamaica ahead of Hurricane Melissa
01:09
-
UP NEXT

Jamaica warned ‘little can stop a Cat. 5 hurricane’
00:54
-

Jamaican official warns: ‘Don’t bet against Melissa’
00:13
-

Federal workers to miss first full paycheck of shutdown
00:49
-

18th-inning home run lifts Dodgers over Blue Jays
00:34
-

Louvre heist suspects not cooperating with police
00:39
-

Gaza film festival screens ‘The Voice of Hind Rajab’
00:23
-

Melissa creating problems for Jamaica ahead of landfall
00:28
-

Where Hurricane Melissa is expected to make landfall
00:35
-

Yosemite BASE jumping rises due to government shutdown
00:39
-

Trump would send ‘more than’ National Guard to cities
00:18
-

Sean Combs set to be released from prison in 2028
00:17
-

Amazon reportedly laying off 30,000 employees
00:48
-

American couple stranded in Jamaica amid hurricane
01:45
-

Shooting at Tennessee plastics plant leaves two dead
00:19
-

Family faces potential deportation and separation
02:06
-

Former FBI agent: ‘What’s the point’ of Louvre heist?
01:59
-

Hurricane Hunters film inside Hurricane Melissa’s eye
00:26
-

Senate chaplain prays for end to government shutdown
00:57
-

King Charles heckled over brother Andrew and Epstein
00:22
-
Now Playing

Americans stuck in Jamaica ahead of Hurricane Melissa
01:09
-
UP NEXT

Jamaica warned ‘little can stop a Cat. 5 hurricane’
00:54
-

Jamaican official warns: ‘Don’t bet against Melissa’
00:13
-

Federal workers to miss first full paycheck of shutdown
00:49
-

18th-inning home run lifts Dodgers over Blue Jays
00:34
-

Louvre heist suspects not cooperating with police
00:39

NBC News NOW

NBC News NOW

NBC News NOW
Play All

